🏡 Venta – Finca De 2 Hectáreas En Albardón – Usd 25.000

U$S 25.000

($ 35.375.000)?

Anunciante

Los2alamos

Domicilio: No informa

Ubicacion: Capital - San Juan

Antiguedad:

Aviso Código: 2543455

Visitas: 302

Publicado: 22/10/2025

Actualizado: Hace 4 días


Denunciar este anuncio



Caracterí­sticas

🏡 VENTA – FINCA DE 2 HECTÁREAS EN ALBARDÓN – USD 25.000

📍 Ubicación: Calle Las Lajas y Kennedy, Albardón, San Juan

Descripción:
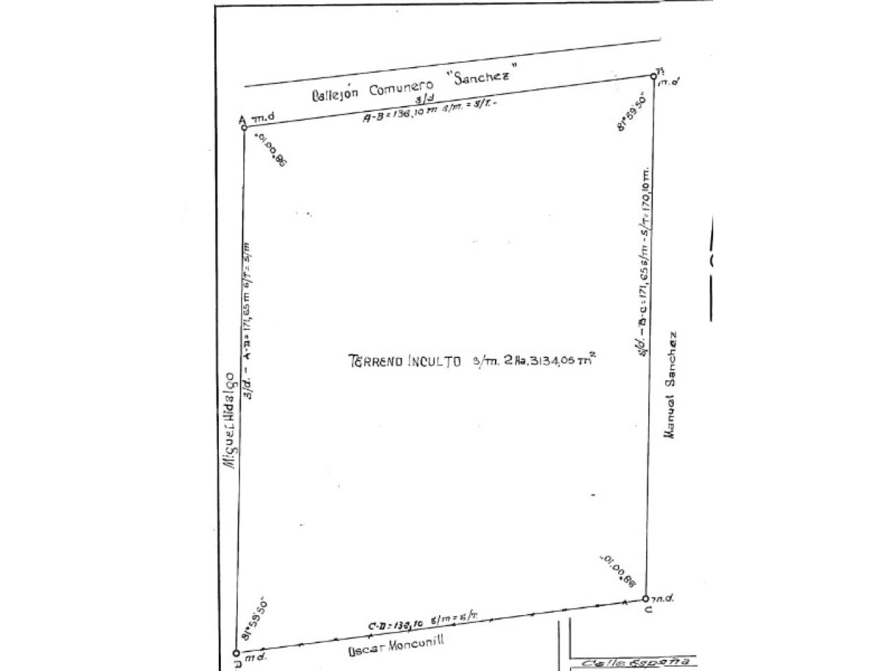
Excelente finca de 23.042,53 m² con zonificación aprobada para lotes de 600 m², ideal para desarrollo inmobiliario o emprendimiento agrícola.
Cuenta con servicios de luz y agua, en una zona en expansión y de fácil acceso.
Una gran oportunidad para inversores, con título perfecto y documentación al día.

✨ Características:

🌳 Superficie total: 23.042,53 m²

🏗️ Zonificación aprobada para subdivisión (600 m² por lote)

⚡ Servicio de luz

💧 Servicio de agua

🚜 Accesos consolidados

📄 Documentación lista para transferir

💰 Precio de publicación: USD 25.000
📞 Consultas: 264 320 4647 – Daniel Chávez, Agente Inmobiliario

Superficie total:23042

Superficie cubierta:

Antiguedad:Menos de 5 años

Baños:Sin especificar

Ambientes:Sin especificar

Garages:Sin especificar

Dormitorios:Sin especificar

Orientación:Sin especificar

Apto crédito:NO

En barrio privado:NO

Ubicación

Calle:

Barrio:

Número:Sin especificar

Departamento:Albardon

Orientación:Sin especificar

Comentario:

Consultas al Vendedor

Publicaciones Similares

Venta Hermosa Casa Quinta Amoblada En La Cañada. Albardon

U$S 68.000

Actualizado: Hace 3 días

1036 Visitas

Venta Casa Quinta Amoblada En Albardon. Mls#420981044-507

U$S 180.000

Actualizado: Hace 3 días

314 Visitas

Venta Finca | Albardon | 16ha 42m²

Consultar

Actualizado: Hoy

754 Visitas

Venta Camping Albardon

Consultar

Actualizado: Hoy

1150 Visitas

Vendo Finca. Albardon

U$S 300.000

Actualizado: Ayer

872 Visitas

Venta. Lote De 30.000 Mts2 En Calle La Laja Al 2950

U$S 80.000

Actualizado: Ayer

3331 Visitas

Venta. 6 Ha En Blanco. Albardon

Consultar

Actualizado: Ayer

1075 Visitas

117 Ha En Albardon

U$S 1.700.000

Actualizado: Ayer

3047 Visitas

Venta. Finca En Inmejorable Punto De Albardon

Consultar

Actualizado: Ayer

908 Visitas

Venta Finca Zona Las Tierritas 84 Hectáreas. Albardon

U$S 200.000

Actualizado: Ayer

1105 Visitas

Venta Quinta De 2 Hectareas En Albardón Con Olivos

U$S 250.000

Actualizado: Ayer

1353 Visitas

Complejo De Cabañas Venta Y Alquiler. Albardon

Consultar

Actualizado: Ayer

2300 Visitas

...y vaarios mas